Surveying - pipelines and structures

Pipelines and structures standards and specifications for works surveying.

Underground pipelines 7.10

'As constructed' information for underground pipelines can be difficult to obtain due to the nature of Works involved (i.e. constant back filling). Whilst every endeavour should be made to obtain the 'as constructed' information, these endeavours mustn't place any person at risk nor infringe on Occupational Health and Safety requirements.

​Location of pipe centrelines at manholes/structures

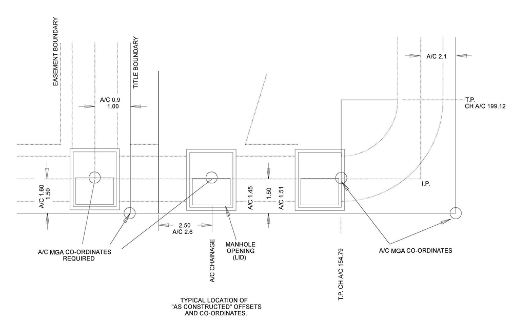
Manholes and structures must be located in relation to title boundaries by offsets and ties, as well as MGA94(z55) co-ordinates. The manhole or structure location is based on providing both the location of the structure and pipe centrelines.

Offset distances to title boundaries are the primary measurements used to relate the pipe alignments to title boundaries. The inlet and outlet pipe centrelines at structures generally have the same offset distance to title and as such only one offset is noted, but where the offset of the inlet and outlet pipes differ by 0.2 metres or more, then both offsets shall be annotated on the design plan and MGA94(z55) co-ordinates will be provided for both pipe centrelines, rather than to the centre of the manhole or structure.

The tie distance should generally be less than five metres with the 'as constructed' chainage providing the necessary relationship to title for greater tie distances.

MGA94(z55) co-ordinates of both asset and title provide a means of verifying the positional accuracy of the asset in relation to VicMap Property.

Location of pipe centrelines 7.11​

Pipe centrelines at manholes are located by offset and ties and MGA94(z55) co-ordinates. The pipe centreline must also have its alignment located by the same method at the following locations:

  • tangent points of curved pipes
  • start and end of constructed pipeline
  • all changes in horizontal direction (ie bandage joints)

Vertical position 7.12

Australian Height Datum (AHD) level values must be determined at the following points:

  • all inlet and outlet pipe inverts, including inlets and outlets associated with junction chambers and branch connections

  • pipe invert at the end of any stubs

  • pipe invert at start and end of constructed pipeline

  • pipe invert at tangent points of curved pipes

  • pipe invert at changes in grade

  • pipe invert at start and end point of transitions

  • manhole covers and grated inlets (mean height if not positioned horizontally)

  • top of headwalls

  • apron of inlet/outlet structures where there is a significant difference to pipe invert (say, greater than 0.15 metres)

Invert levels are to be annotated on the longitudinal section, structural details and detail design alignment plan where deemed necessary, with cover levels being annotated on structural details and longitudinal section.

Chainages 7.13​

A running 'as constructed' chainage of the entire pipeline must be annotated on the longitudinal section (with associated invert levels). Chainages should also be annotated on the Detail design alignment plan at any point where the chainage varies from design.

Chainages must be specifically taken at the following points:

  • start and end of structures (including transitions) and manholes

  • commencement and completion of works

  • tangent points of curved pipelines

  • all changes in vertical grade

  • all changes in horizontal direction

  • at all connecting pipes (inlets)

Manhole structure dimensions 7.14

​Where the internal structural dimensions differ from design by more than 0.2 metres, they must be noted on the design plan against all references. 

Pipe size, shape and material 7.15

​The surveyor must confirm the pipe's shape, material and internal size (including branch connections). Where the constructed works aren't in accordance with design, the actual values must be annotated on the design plan. 

Pipe grades 7.16

The surveyor must calculate the new grades and where significantly different (greater than 15 per cent variation in grade), the actual grade must be annotated on the design plan longitudinal section.

Missing media item.

 

Last updated:

Did you find what you were looking for?